Bathala dicembre 2006  
dicembre 2006 by Laura&C (utente forum maldive LAURA V) con il gruppo TuttoMaldive.it
TERRA!
Eccola, è lei, è apparsa all’orizzonte, come un miraggio dopo un’ora e mezza di sballottamenti!
Abbiamo scelto la barca veloce primo, perché costa 140 euro a testa in meno dell’idrovolante, secondo, perché a noi piace molto andare per mare e quindi questo trasferimento può essere “una gita nella gita” e terzo perché, pur impiegando meno isole maldive fotografie dell'isola di bathala informazioni consigli utili bathala resort isola di bathalaa atollo di ari nord nel dicembre 2006 by Laura&C con il gruppo TuttoMaldive.it tempo, l’idro, spesso arriva solo pochi minuti prima della barca visto che è facile avere lunghe attese all’aeroporto di Male prima di riuscire a spiccare il volo.
Devo dire che queste tre motivazioni al momento dell’avvistamento di Bathala, mi sembrano, alquanto futili, anzi quasi non me le ricordo proprio, così come credo la maggior parte dei nostri compagni di sventura: c’è chi vomita, e chi si è assestato su un bel colorito verdognolo, dopo essere passato da diverse tonalità dell’arcobaleno.
In realtà abbiamo trovato un mare neanche particolarmente mosso, è che tra la differenza di temperatura Italia-aereo-Malè, l’altissimo tasso di umidità nell’aria e l’imbarcazione veloce tutta chiusa con teloni cerati (che limitano al massimo l’aria) hanno fatto sì che la necessità di arrivare in fretta sia sentita da tutti.
Già siamo un po’ intristiti dal colore del cielo; come siamo scesi dall’aereo a Male, ha cominciato a piovere, un pioggerellina leggera: Davide, uno dei moderatori del forum di Tutto Maldive con il quale abbiamo prenotato la vacanza, e che tutti i giorni mette in rete gli aggiornamenti meteo dall’atollo di Ari, ha appena chiamato Valentina (con cui ho già postato sul medesimo forum, e con la quale ci riconosciamo all’aeroporto di Male), per rassicurarla che il monsone sta girando e che questo tipo di pioggia ne è la dimostrazione!
Speriamo!...perchè di musi lunghi, già da Malpensa se ne sono visti molti; siamo quasi tutti informati infatti che da più di un mese alle Maldive il sole non si fa vedere, o meglio, sbuca, e ti fa “un bel segno dell’ombrello”, che tu devi prontamente correre in camera a prendere!
Chi invece ancora non lo sapeva, forse pensa al suicidio, durante le due tremende ore di check in a Malpensa (nastro trasportatore dei bagagli rotto)…potrebbe ingerire le pericolose armi di distruzione di massa che molti tengono nei sacchettini trasparenti da freezer, partendo magari dalle 5 bottigliette da 100 ml. di abbronzante protezione 50, probabilmente la cosa più inutile durante la nuvolosa settimana!
…ma anche per dissetarsi, visto che portare acqua è vietatissimo, ma quando finalmente riusciamo a superare il controllo passaporti, sono quasi le 23.00 (dobbiamo partire un quarto d’ora dopo!) e a Malpensa è tutto chiuso, bar, duty free, …alla faccia di chi per ovviare ai nuovi rigidi controlli sui liquidi (rigidi?!? Mah), non si è portato niente, pensando di comprare tutto in aeroporto. 
isole maldive fotografie dell'isola di bathala informazioni consigli utili bathala resort isola di bathalaa atollo di ari nord nel dicembre 2006 by Laura&C con il gruppo TuttoMaldive.it Almeno il volo è andato benone, Livingstone ha sedili più larghi di quanto fino ad oggi trovato sui charter, c’è uno schermino ogni due o tre file di sedili, ma visto l’orario, svampati i maccheroni di mezzanotte offerti dalla compagnia aerea, allunghiamo le gambe e piombiamo tra le braccia di Morfeo per molte, molte ore e non diamo molto peso al programma di intrattenimento.
…Ma ritorniamo alla magnifica visione!
E’ lei, è laggiù, è Bathala: credo di conoscere a memoria ogni foglia della sua meravigliosa vegetazione, ogni granello di sabbia per le tante volte che me la sono rimirata nelle foto.
E’ dal 2004 che la sogno: prima per sei mesi, c’è stato tutto il lavoro per trovare l’isola adatta a me e quando finalmente, tra tante, l’ho individuata, c’è stato lo Tsunami e così per non terrorizzare i parenti (molto apprensivi) per un po’ mi sono rassegnata ad altre destinazioni.
Ma il mio, era stato amore a prima vista: “lei” non era una delle tante, un ripiego, non era stata scelta a caso magari solo in base a un conveniente last minute…LEI ERA LEI: BATHALA.
I miei amici e quel pover’uomo di mio marito hanno sentito pronunciare questo nome talmente tante volte da averne la nausea: quando quest’anno l’ho chiesta come regalo per i miei primi 40 anni,il mio lui, ha ben pensato di prendere “due piccioni…” cioè di risparmiarsi la fatica di trovare un regalo adatto alla ricorrenza e nello stesso tempo di togliersi ‘sto dente una volta per tutte!
Non che lui non ne fosse attratto, ma era sicuro di annoiarsi e quindi partiva abbastanza scettico, soprattutto dopo le nefaste previsioni meteo.
…Eccola, me la rimiro…è proprio lei,…a dir la verità i granelli di sabbia, mi sembravano un po’ di più, …sbuca già in lontananza un muretto e si vede qualche brutto sacco colorato pieno di sabbia di quelli che servono a contenere l’erosione isole maldive fotografie dell'isola di bathala informazioni consigli utili bathala resort isola di bathalaa atollo di ari nord nel dicembre 2006 by Laura&C con il gruppo TuttoMaldive.it causata dal mare soprattutto durante il monsone umido.
La scelta di Bathala è stata fatta in base alle dimensioni dell’isola (solo 50 bungalows), alla mancanza di over water, assenza di quegli orrendi frangiflutti attorno all’isola (tipo gli scogli di Cesenatico!), bagno alla maldiviana, e sabbia dappertutto, onde abbandonare le scarpe fino al giorno del ritorno! 
Alle Maldive, lo sapete tutti, potete trovare anche isole fantastiche, quelle da super nababbi, dove ogni dettaglio è curato fino al più piccolo particolare, resort con ogni confort più lussuoso, centri benessere fantastici, insomma di tutto di più, ma onestamente, al di là dell’innegabile “lato economico”, tra le isole alla mia portata, quella che cerco io è un isola con un’atmosfera più al naturale possibile!
I colori non sono proprio quelli che mi aspettavo, ma purtroppo il cielo è plumbeo anche se fortunatamente ha smesso di piovere…
Sul pontile Nord ci stanno aspettando Claudia, Dario, Enzo e Marta e tutti gli altri amici delle Maldive che abbiamo virtualmente conosciuto su internet; loro sono là già da una settimana, noi purtroppo ci fermiamo solo 8 giorni e visto che è già pomeriggio inoltrato…ACCIDENTI, il nostro primo giorno di vacanza se n’è quasi bello che andato!
Non sono molto abbronzati…però a guardarli bene, Claudia ha il naso un po’ spellato: questo è buon segno, forse è vero che ci si abbronza anche con le nuvole.
Con noi, sono arrivate anche due nuove animatrici, Angela e Cristina che si guardano attorno proprio come noi, per la prima volta.
Noi pensiamo: “Oh no, solo una settimana in questo meraviglioso paradiso!”
Loro di sicuro: “Oh no, cinque mesi su questo scoglio perduto nell’Oceano Indiano, senza alcuno svago, negozi…e con tutti ‘sti rompicoglioni che, visto che piove, non sapranno cosa fare dalla mattina alla sera che scocciare noi!”
Loro arrivano a completare il grande staff di animazione di Bathala già formato da Manu e da Cristiano, capovillaggio.
Adesso con l’arrivo dell’alta stagione i due hanno bisogno di aiuto soprattutto con i bambini e a questo penserà Angela e con lo snorkeling e visto che Cristina è bagnina addetta al salvataggio, è proprio quella che fa per loro.
Cristiano, ci accoglie al bar con cocktail di benvenuto, tramezzini (non abbiamo pranzato) e …POLPETTE! Sulle isole più IN vieni accolto con musica, fiori e salviette inumidite e profumate per tergerti dalle fatiche del viaggio; a Bathala ti accoglie Cristiano con le polpette e questo ti dà già un’idea di dove sei capitato…
…esistono tre tipi di polpette, le prime al formaggio, le seconde, esteticamente identiche alle prime, al formaggio ma con un “cuore” di aglio, le terze, sempre indistinguibili dalle precedenti ma con un ripieno piccantissimo, con tutte le spezie indiane più indiavolate che il cuoco abbia potuto trovare in cucina!
Tutte le occasioni sono buone per le polpette, che a mio gusto (comunque e qualsiasi tipo, il fato vi riserverà) sono molto sfiziose. 
…esistono due tipi di animatore, l’amicone, quello che come lo vedi sai già che ti tampinerà tutta la vacanza, che ti scoverà appisolato sotto i rami di una mangrovia per farti partecipare al gioco aperitivo, quello che nonostante tu sia già in ottima compagnia, vorrà a tutti i costi accomodarsi al tuo tavolo..
poi c’è il “Cristiano”, esteticamente uguale al primo, occhio azzurro e capello lungo ma a dispetto del proprio nome, l’”anticristo” dell’animatore, quello che mai e poi mai ti verrà a proporre un torneo di freccette o di imparare la sigla del villaggio, quello che prima farti uno spettacolo aspetta il quarto giorno, così che ogni ospite brami le sue scenette… visto che nei giorni precedenti ti sei quasi preoccupato perché nessuno ti ha mai cagato!
Di prima botta, …Cristiano… o lo odi, o lo ami!
A me, ha fatto morire dal ridere, a volte da goccioloni…anche perché da quasi conterranei (lui bolognese e noi romagnoli….anche se NON è la stessa cosa!), forse abbiamo un tipo di umorismo simile.
Spianate le formalità per l’assegnazione delle camere, ci fiondiamo a cambiarci, magari una doccetta e poi via a farci un bel bagno, …peccato che come arriviamo al bungalow cominci a piovigginare!
Qui noto con disappunto che il mio tanto desiderato bagno all’aperto, ha diverse controindicazioni, la prima riservata solo ai bungalows DE LUXE (noi lo abbiamo avuto senza supplemento prenotando tra i primi del gruppo) che a differenza di quelli standard, hanno non solo la doccia ma anche lavandino, phon e servizi all’aperto, coperti solo da una piccola tettoia di paglia…
…la seconda, per tutti, che essendo scaldata coi pannelli solari, l’acqua della doccia (avendo piovuto per due settimane!) non è proprio caldissima e pur essendo una sensazione piacevole col sole, sotto la pioggia non è il massimo!
Il “Luxe” a Bathala non esiste (paradossalmente anche le stanze che spacciano come superior secondo me sono, sì più curate, ma meno carine delle altre…anche se in periodi piovosi come il nostro hanno sicuramente il vantaggio di essere più in alto rispetto alle altre, quindi con meno possibilità di allagarsi, …in compenso o fai la pipì con l’ombrello o ti bagni piedi e ginocchia!): non c’è la piscina (vorrei sapere chi è il “lulone”va alle Maldive per stare in piscina!!!!!), non ci sono letti a baldacchino, pavimenti in mogano, nè meravigliose palafitte per costruire le quali magari hanno piantato dei bei pali di cemento nella barriera!
Non esiste l’happy hour, …c’è chi si è lamentato perché i super alcolici non sono compresi nell’all inclusive…onestamente, noi non siamo abituati a berne neanche a casa, e poi un cocktail costa solo 5 dollari, se anche te ne bevi uno tutte le sere non ti rovini!
A Bathala, se come noi non sei un sub, si passa la giornata prendendo il sole (quando c’è!) e facendo un meraviglioso snorkeling accompagnato (viste le insidiose correnti che è sempre bene conoscere prima di avventurarsi da soli, fosse anche solo per fare meno fatica invece di nuotare “contro”): per questo Manu e Cristiano non si tirano mai indietro, e ti fanno vedere tante cose che finchè non hai l’occhio abituato non riusciresti mai a vedere da solo: ci manca solo la manta, l’abbiamo mancata per una settimana…Claudia che c..o che hai avuto!
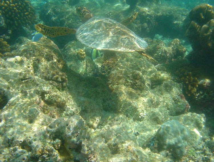
Per il resto tutti i giorni abbiamo visto di tutto compreso squali pinna bianca (io ero terrorizzata all’idea e invece quando già alla prima uscita ne ho visto uno, mi è sembrata la cosa più naturale del mondo di essere lì con “lui”), tartarughe, aquile di mare, pesce napoleone, murene giganti, trigoni ed enormi Jack fish, oltre a tutti i “soliti” meravigliosi pesci di barriera già conosciuti sul Mar Rosso.
isole maldive fotografie dell'isola di bathala informazioni consigli utili bathala resort isola di bathalaa atollo di ari nord nel dicembre 2006 by Laura&C con il gruppo TuttoMaldive.it Sicuramente, come già sapevamo, i colori del reef di Bathala non sono all’altezza di quelli dell’Egitto, (e Bathala è a detta degli esperti, davvero una delle migliori di tutte le Maldive!), ma la quantità di pesci è davvero incredibile!
Chi non è un provetto nuotatore può sempre darsi al Puccio Puccio cioè, chiacchiere con culo a mollo godendosi il tepore dell’acqua sempre caldina.
Lo snorkeling accompagnato si fa sia al mattino che al pomeriggio, non sempre la visibilità è buonissima ma ne vale comunque la pena (anche quando piove), così come partecipare alle varie escursioni, visto che il costo è abbastanza irrisorio e sono divertenti ed interessanti.
…a noi è successo anche un imprevisto, quello di rimanere in secca con la barca all’isola deserta, ed abbiamo dovuto spingere! …basta prenderla con filosofia!
Il “brutto” delle escursioni è che si fanno tutte in barca e se si trova un mare in po’ incazzato non è sempre possibile effettuarle: noi causa mare mosso abbiamo rischiato di non poter andare all’isola deserta più isola dei pescatori, fortunatamente sabato il mare si è calmato e siamo partiti e ne è valsa la pena….i mariti non erano così contenti visto che essendoci a Bathala solo un piccolissimo bazar, tutte le donne in crisi d’astinenza da shopping, all’isola dei pescatori si danno alle spese folli!
Noi avevamo un bigliettino datoci dal nostro cameriere, con il nome del negozio del fratello: Dì che ti manda Zahir, …chiedi di Nadiz….tutto il mondo è paese!
Come scendi dal dhoni (la tipica imbarcazione Maldiviana, che guidano coi piedi…..noooo, non guidano male!...tengono il timone coi piedi!), arrivano due o tre uomini che ti danno un biglietto da visita del loro negozio, con fantasiosi nomi italianizzati ad esempio “Gennareeno” ; naturalmente non sanno come si scrive e si leggono cose buffe!
Molto bella è l’escursione a Kandululu, isola Vip, se volete andarci preparatevi a sganciare 5/6000 dollari a testa la settimana. 
Il resort è abusivo: teoricamente dovrebbe esserci solo un ristorante a disposizione di chi, in crociera, si ferma con la barca, in realtà hanno costruito qualche bungalow e tengono permanentemente ancorata una barca in modo che se ci dovessero essere dei controlli…
Kandululu è circondata da una bellissima barriera corallina, i coralli non sono molto colorati ma hanno un forma come di grandissimi funghi, molto spettacolare….non aspettatevi comunque la quantità di pesci di Bathala, non c’è proprio paragone!
Comunque ridendo e scherzando, (e abbiamo davvero riso tanto, ma tanto tanto! ..l’ambiente piccolo ti porta a fare amicizia, con tante persone, tutte le sere al bar il cerchio delle sedie aumentava di numero, e così si dava il via al “gossip”, una delle altre attività possibili a Bathala, …tutti sanno tutto di tutti e se trovate l’argomento giusto, state certi che diventerà un affare di stato!), tra sprazzi di sole e spruzzi di pioggia la settimana è volata!
isole maldive fotografie dell'isola di bathala informazioni consigli utili bathala resort isola di bathalaa atollo di ari nord nel dicembre 2006 by Laura&C con il gruppo TuttoMaldive.it Venerdì sera, è piovuto 6 ore ininterrottamente, fortissimo con tuoni e fulmini, la stanza 106 era allagata… andare dalla nostra camera, fino al ristorante è stata un’impresa, pozzanghere enormi, anzi laghetti, in più pensate che la vegetazione è abbastanza bassa e sbattete sempre con l’ombrello, (io essendo un po’ rinco a volte anche con la testa, …e pure in condizioni climatiche favorevoli!), siamo arrivati coi pantaloni bagnati fino a sopra le ginocchia!
Le ultime parole famose del mattino, durante il quale finalmente splendeva un bel sole erano state: finalmente è girato il monsone, il brutto tempo è terminato….quella sera qualcosa effettivamente “girava”, fa anche rima con monsone, ma generalemte è usato al plurale!!!
Credo che sia stata questo il famoso “tifone” di cui hanno parlato i media, e che ha riportato a casa la famiglia Cruise dal loro viaggio di nozze alle Maldive…purtroppo”anche i ricchi piangono!”
In tutti i casi purtroppo siamo arrivati anche al lunedì 4 dicembre, il giorno del ritorno, il bilancio è di una decina di pagine lette dei 2 libri a testa che ci eravamo portati, alla faccia di chi ci aveva detto che ci saremmo annoiati, poche ore di sole ma nel complesso neanche tante di acqua, caduta prevalentemente di sera e soprattutto rispetto alle previsioni ante-partenza, e una bella foto di gruppo con tanti amici, con i quali si sa, difficilmente si ritroverà da qualche altra parte, ma di cui si serberà un caro ricordo.
Io mi sono alzata alle 6 per fare l’ultimo bagno, il sole splende ed il mare è calmissimo (…e te pareva!), faccio il giro dell’isola per l’ultima volta, (col passare dei giorni, il passo da maratoneta, lascia il posto a quello da vasca in centro, fino a quello da pensionato ai giardinetti…per farselo durare un po’ di più!!!), il silenzio è rotto solo dal rumore delle onde, me ne sto un po’ seduta sul pontile a guardare miei amici pesci, la tentazione di tuffarmi è forte anche se il timore prende il sopravvento, visto che in giro non c’è proprio nessuno: decido di finire il giro e tornarmene in camera a chiudere le valige: vicinissimo a riva, ci saranno 20 cm. d’acqua, vedo il trigone gigante con il quale abbiamo nuotato qualche giorno fa proprio sotto il pontile, uno degli affezionati clienti della pappa serale che Toya (from Balgladesh), 365 giorni all’anno, con il sole o con la pioggia, prepara per squali nutrice e Jack fish: tutte le sere alle sette si celebra questo rito che può anche essere sono una messinscena per i turisti, ma che Toya svolge con una tale dedizione ed entusiasmo che sarebbe un peccato non dargli la soddisfazione di andarlo a vedere.
Mi avvicino, è così bello, sembra che ti guardi, forse è venuto a salutarmi: mi viene un po’ il magone, …sulla secca davanti a Bathala Thila, si è posato un airone…domattina sarò in secca sulla solita montagna di scartoffie che come sempre mi attende sulla scrivania, al rientro delle vacanze!
Proprio davanti alla bellissima lingua di sabbia che si è formata in soli due giorni di fronte alla stanza 144, da quando è cambiato il vento, vedo un bel pesce scatola giallo; mi infilo la maschera ed entro in acqua…e comincia a piovere! 
Non mi interessa, è l’ultima pioggia della vacanza, mi guardo attorno,…solo tra pochi giorni di questo passo l’isola avrà tutto un altro aspetto, quello che ho sempre visto nelle foto, niente più muretti o sacchetti o tubi di plastica blu, …la meravigliosa isola che ho sognato per tanto tempo e che sto per lasciare. Forse torneremo…forse!
Di certo non la dimenticheremo, come non dimenticheremo la sgradevole sensazione di rimettersi le scarpe ed avere il dubbio che ti siano cresciuti i piedi! (un po’ come quella che ci si sia pure allargato il fondoschiena, i jeans tirano, .. vista la quantità abominevole di dolci che abbiamo ingurgitato tutta la settimana, è facile che non sia solo una sensazione!)
Di certo non ci dimenticheremo Zahir, che mi ha portato a far vedere le foto della moglie e dei suoi meravigliosi bambini, che abitano solo a un ‘ora e mezza da Bathala, ma che vede così di rado… 
Di certo non ci dimenticheremo del Bodu Beru, “terrificante” spettacolo con tamburi, organizzato dai ragazzi della reception, room boys, camerieri, scatenatissimi in canti e balli “un po’ sui generis”…Cristiano, ha detto che il nostro è stato il peggiore degli ultimi 5 anni, ma secondo me hanno ancora margini di peggioramento! …Abbiamo avuto la sensazione che tutta la pioggia degli ultimi mesi potesse essere la conseguenza del bodu beru…ma è tenero vedere tutti questi ragazzi di solito così silenziosi e misurati, finalmente lasciarsi andare!
Di certo non ci dimenticheremo dei ragazzi dei massaggi (che bello farsi massaggiare quando fuori piove!), sono indiani e stanno insieme; lei in India è promessa a uno che le non le piace.
Il suo compagno purtroppo non la può sposare perché è di una casta superiore e così vivono, “esiliati” dalla loro terra…(nel 2006 esistono ancora queste cose!!!)
Di certo non ci scorderemo MAI il trasferimento in aeroporto: purtroppo era già andato nel dimenticatoio il terribile arrivo (si sa anche i dolori più grandi col tempo si dimenticano!): io ero seriamente intenzionata a prendere l’idrovolante, ma tutti gli altri amici hanno cominciato a dire: “Ma dai, e se c’è vento che non sia peggio, l’idro della barca… ma dopotutto non abbiamo incontrato altre isole prima di Bathala, il panorama non sarà granchè, …ma qui…ma là…. 
…Per stare tutti insieme siamo tornati in barca!!!!!! 
Porca Zozza!!! Barca grande a metà di quella dell’andata, visto che tutti quelli che erano stati male all’andata, gli hanno dato un bel braccino!,…appena usciti dall’atollo di Ari, in piena pass oceanica, ondoni terribili e il viaggio si allunga di una mezz’ora….finalmente in vista degli orrendi casermoni di Male, un botto sullo scafo e la barca si ferma!
Abbiamo beccato un bel pezzo di legno in mezzo all’elica che ha fatto un buco nello scafo; i due “mozzi” tolgono l’acqua che entra col secchio fino a quando finalmente a velocità ridotta arriviamo in aeroporto! Per fortuna che ci è successo che eravamo già vicini alla meta e soprattutto non in balia di quel mare grosso!
Memori della fila di Milano corriamo a fare check in , velocissimo visto che arriviamo tutti alla spicciolata dalle varie isole chi con la barca e chi con l’idrovolante, anzi proprio per aspettare qualche ritardatario l’aereo parte circa tre quarti d’ora dopo l’orario previsto.
Approfittiamo del tempo in aeroporto per le ultime compere, …riso, the,..le cose che mi sembrano un po’ più tipiche, visto che ormai dappertutto compri souvenir “made in China” (mia madre ha girato mezzo Egitto per comprarmi un pareo, quando finalmente ne ha trovato uno di suo gusto, e l’ha acquistato si è accorta che era Made in Italy!).
Finalmente decolliamo, anche oggi é nuvoloso, come all’andata all’andata a noi sono toccati i posti nella fila di mezzo, lontani dai finestrini …poco male, tanto non ci sarà niente da vedere…come volevasi dimostrare, dopo pochi minuti un botto e un lampo sull’ala sinistra, c’è puzza di bruciato; c’è qualcuno che comincia a dare i numeri (a dir la verità ci siamo un po’ impressionati tutti!): siamo stati colpiti da un fulmine, lo steward ci dice di non preoccuparci, che è una cosa abbastanza frequente, dopo poco comincia pure a grandinare!!!
Io sono tranquilla, dopotutto siamo appena decollati, se proprio ci fosse qualcosa, viriamo e torniamo indietro….”purtroppo” non succede più niente e dopo dieci ore siamo a Milano.
Un saluto a te Bathala, isola che, per fortuna, c’è: speriamo che tu possa restare sempre così, forse non per tutti , ma di sicuro per tutti coloro che credono ancora che un’isola tropicale non debba essere altro che sabbia bianchissima, mare azzurrissimo, pesci coloratissimi, senza fronzoli, e lussi esagerati.
Un saluto a Cristiano, che in cinque anni si è perfettamente integrato nello spirito di Bathala, nella calma dei suoi ritmi scanditi dalle stagioni, colui che non finge di essere disperato perché te ne stai andando e non arriverà mai più un cliente così simpatico!
Un saluto a Manu, il nostro rasta preferito, che a Bathala era già stato come animatore e pur avendo solo 23 anni e potendo andare in posti moooolto più vivaci,dopo qualche mese dal proprio ritorno a casa, ha espressamente richiesto di tornarci.
Ad Angela e Cristina che pagano la corvèe di essere appena arrivate e così per un po’ si beccheranno tutti i trasferimenti in barca!!!
Non siamo neanche riusciti a salutarle in aeroporto visto che siamo entrati subito al controllo passaporti; che riescano a godersi al meglio questi cinque mesi di lavoro, …(…visto che sta là sta arrivando la bella stagione se proprio non dovessero adattarsi mi propongo per un cambio…il mio è un ufficio bellissimo!)
A tutti gli amici di Tutto Maldive.
Ciao

dicembre 2006 by Laura&C (utente forum maldive LAURA V) con il gruppo TuttoMaldive.it

home page di www.tuttomaldive.it : sito web completamente dedicato alle isole maldive isole maldive viste da vicino : racconti, informazioni e consigli utili e foto dei viaggi o delle crociere degli amici di www.tuttomaldive.it
www.tuttomaldive.it